【売土地】広島県福山市瀬戸町 1,340〜1,360万円

売土地 広島県福山市瀬戸町
売土地 広島県福山市瀬戸町1
previous arrow
next arrow
売土地 広島県福山市瀬戸町1
売土地 広島県福山市瀬戸町2
売土地 広島県福山市瀬戸町3
売土地 広島県福山市瀬戸町4
売土地 広島県福山市瀬戸町5
売土地 広島県福山市瀬戸町6
売土地 広島県福山市瀬戸町7
売土地 広島県福山市瀬戸町8
売土地 広島県福山市瀬戸町9
売土地 広島県福山市瀬戸町10
previous arrow
next arrow
目次

現地内覧予約

    必須お名前

    必須お電話番号

    必須メールアドレス

    必須現地内覧希望日時

    ■個人情報保護方針

    ■個人情報保護方針

    当株式会社ファースト(以下、当社)は、不動産事業および、それに関わる全てのサービスの個人情報の保護・管理について、「個人情報の保護に関する法律」、及びその他の関連法令等を遵守するために以下のとおり個人情報保護方針を定め、これを実行いたします。

    1.当社が個人情報を収集する際は、その目的を当社の事業範囲内で明確にし、適法かつ公正な手段で行うとともに、目的外利用はいたしません。また、そのための措置を講じます

    2.当社が個人情報を収集、利用及び提供する場合は、原則として、利用目的、提供範囲等について、文書、口頭等でお客様にご説明するか、または、その内容を当社に掲示いたします。

    3.当社が保有する個人情報は、その利用目的の達成に必要な範囲内で、正確かつ最新の内容に保つように適切な管理に努めます。

    4.当社が個人情報の取り扱いに関する業務の全部及び一部を委託する場合は、委託先と個人情報保護のため必要な契約を締結するとともに、必要かつ適切な監督を行います。

    5.当社は、お客様の同意がない限り、業務委託先以外の第三者にお客様等の個人情報を開示することはいたしません。ただし、以下の場合には、お客様等の個人情報を開示することがあります。

    (1)法令に基づき開示を求められた場合
    (2)人の生命、身体または財産の保護のために開示の必要があり、かつ、本人の同意を得ることが困難な場合
    (3)お客様、当社及び従業員の権利、財産、サービス等を保護するために必要と認められる場合

    6.当社は、保有する個人情報の取り扱いにあたって、不当なアクセス、漏洩、滅失、毀損の防止、及びその他の安全管理のために必要かつ適切な措置を講じ、予防ならびに是正に取り組んでまいります。

    7.当社は、個人の権利を尊重し、本人から自己情報の開示、訂正、削除、または利用もしくは提供の拒否を求められたときは、合理的な範囲で速やかに対応いたします。

    8.当社は、個人情報保護のため従業員への教育活動に努め、安全管理体制を整えるとともに、個人情報保護マネジメントシステムの継続的改善を行います。
    当社は、個人情報に関するご質問、苦情等を受け付ける窓口を下記のとおり設置しております。質問、苦情等があった場合には、誠実かつ迅速な対応に努めます。

    【お問い合わせ窓口】株式会社ファーストTEL:084-999-8448

    スパムメール防止のため、こちらのボックスにチェックを入れてから送信してください。

    広島県福山市瀬戸町
    売土地 物件概要

    お問い合わせ番号084
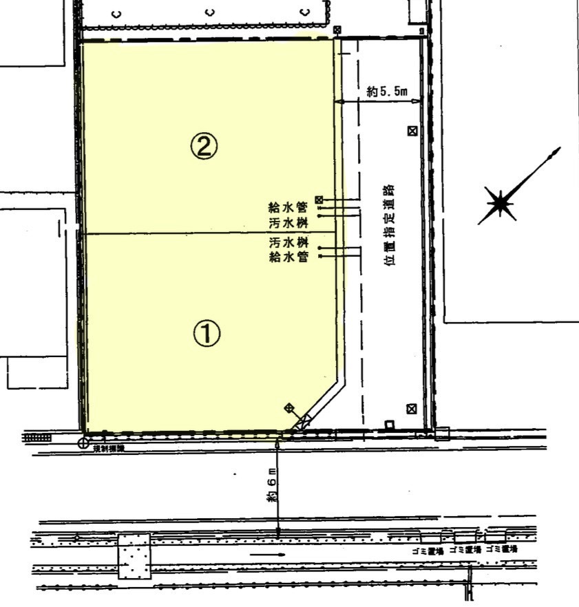
    所在地福山市瀬戸町
    価格1,340万円〜1,360万円
    土地面積190㎡\57坪
    用途地域第1種住居地域
    都市計画市街化区域
    容積率200%
    建蔽率60%
    校区瀬戸小学校・済美中学校
    土地権利所有権
    地目宅地
    建築確認番号
    引渡日相談
    取引態様一般
    【ᴘᴏɪɴᴛ】・57坪のゆとりある敷地で平屋や広い庭も実現しやすい
    ・建築条件なしのためお好きなハウスメーカーで建築可能
    ・第1種住居地域で住環境と利便性のバランスが良い立地
    ・市街化区域内でインフラが整いやすく安心
    ・建蔽率60%・容積率200%でプランの自由度が高い
    ・整形地として活用しやすい土地形状
    ・複数区画のため予算や好みに合わせて選択可能
    ・閑静な住宅街で落ち着いた暮らしが叶う
    ・前面道路もゆとりがあり駐車計画がしやすい
    ・駐車スペースを複数台確保しやすい広さ
    ・家庭菜園やドッグランなど多用途に活用可能
    ・日当たりを確保しやすく明るい住まいを実現
    ・エブリィ瀬戸店まで車約3分で日常の買い物が便利
    ・コンビニも車圏内にあり急なお買い物にも対応可能
    ・クリニックが近く万が一の時も安心
    ・保育所が近く子育て世帯にもおすすめの立地
    ・瀬戸小学校まで徒歩圏内で通学も安心
    ・済美中学校区で教育環境も整っている
    ・福山市中心部へのアクセスも良好なエリア
    ・将来的な資産性も期待できる人気の瀬戸町エリア
    【周辺環境】🛒エブリィ瀬戸店・・・車約3分(850m)
    🏪ファミリーマート赤坂店・・・車で約6分(2,300m)
    🏥さいきじんクリニック・・・車で約4分(1,200m)
    🏫長和保育所・・・車で2分(700m)
    🏫瀬戸小学校・・・徒歩約14分(900m)
    🏫済美中学校・・・徒歩約22分(1,500m)

    現地内覧予約

      必須お名前

      必須お電話番号

      必須メールアドレス

      必須現地内覧希望日時

      ■個人情報保護方針

      ■個人情報保護方針

      当株式会社ファースト(以下、当社)は、不動産事業および、それに関わる全てのサービスの個人情報の保護・管理について、「個人情報の保護に関する法律」、及びその他の関連法令等を遵守するために以下のとおり個人情報保護方針を定め、これを実行いたします。

      1.当社が個人情報を収集する際は、その目的を当社の事業範囲内で明確にし、適法かつ公正な手段で行うとともに、目的外利用はいたしません。また、そのための措置を講じます

      2.当社が個人情報を収集、利用及び提供する場合は、原則として、利用目的、提供範囲等について、文書、口頭等でお客様にご説明するか、または、その内容を当社に掲示いたします。

      3.当社が保有する個人情報は、その利用目的の達成に必要な範囲内で、正確かつ最新の内容に保つように適切な管理に努めます。

      4.当社が個人情報の取り扱いに関する業務の全部及び一部を委託する場合は、委託先と個人情報保護のため必要な契約を締結するとともに、必要かつ適切な監督を行います。

      5.当社は、お客様の同意がない限り、業務委託先以外の第三者にお客様等の個人情報を開示することはいたしません。ただし、以下の場合には、お客様等の個人情報を開示することがあります。

      (1)法令に基づき開示を求められた場合
      (2)人の生命、身体または財産の保護のために開示の必要があり、かつ、本人の同意を得ることが困難な場合
      (3)お客様、当社及び従業員の権利、財産、サービス等を保護するために必要と認められる場合

      6.当社は、保有する個人情報の取り扱いにあたって、不当なアクセス、漏洩、滅失、毀損の防止、及びその他の安全管理のために必要かつ適切な措置を講じ、予防ならびに是正に取り組んでまいります。

      7.当社は、個人の権利を尊重し、本人から自己情報の開示、訂正、削除、または利用もしくは提供の拒否を求められたときは、合理的な範囲で速やかに対応いたします。

      8.当社は、個人情報保護のため従業員への教育活動に努め、安全管理体制を整えるとともに、個人情報保護マネジメントシステムの継続的改善を行います。
      当社は、個人情報に関するご質問、苦情等を受け付ける窓口を下記のとおり設置しております。質問、苦情等があった場合には、誠実かつ迅速な対応に努めます。

      【お問い合わせ窓口】株式会社ファーストTEL:084-999-8448

      スパムメール防止のため、こちらのボックスにチェックを入れてから送信してください。

      目次